Dorpsboerderij Weverkeshof boos over inbraak: 'Vrijwilligers hebben hard gewerkt voor dit geld'

12 november 2018 om 16:51 • Aangepast 13 oktober 2025 om 17:20
De dierenverzorgers van dorpsboerderij Weverkeshof in Nuenen wachtte zondagochtend een onaangename verrassing. Een opengebroken deur en kluis. En honderden euro's weg. De omzet van een dag hard werken.
Profielfoto van Alice van der Plas
Geschreven door

Bestuurslid Elly van den Heuvel heeft nog nooit een brutale inbraak meegemaakt bij Weverkeshof. "Ja, er zijn wel eens twee pauwen meegenomen. Daar schijnt ook handel voor te zijn."

'Zo'n stelletje'
Het gaat niet om een groot geldbedrag, maar boos zijn ze wel bij Weverkeshof.  "Iedereen werkt hier hard om inkomsten te genereren voor de boerderij. En dan wordt het gewoon meegenomen door zo'n stelletje."

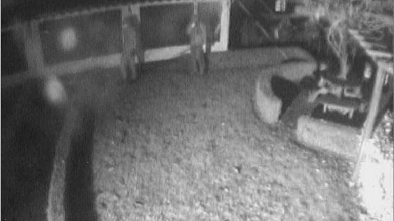
Het 'stelletje' is wel vastgelegd op camerabeelden. Van den Heuvel denkt dat het om drie jonge mensen gaat. Maar de inbrekers zijn wel onherkenbaar door de capuchons op hun hoofd.

Getuigen gezocht
Weverkeshof,  dat ligt aan de  Jonkheer Hugo van Berckellaan, heeft aangifte gedaan bij de politie en de bewakingsbeelden overgedragen. De inbraak vond plaats tussen 4:00 en 4:30 uur in de nacht van zaterdag op zondag. 

Ondanks het late tijdstip hoopt Van den Heuvel dat mensen iets hebben gezien. "Misschien dat er toch nog iemand op pad was." Het duurt nog even om de schade te repareren. De activiteiten in Weverkeshof konden zondag gewoon doorgaan.

App ons! 👋

Heb je een foutje gezien of heb je een opmerking over dit artikel? Neem dan contact met ons op.